171027 | PA17/10300 | Application for non-material amendment to application PA17/06782 (Erection of a new dwelling and detached
Submitted by via Cornwall Co... on Mon, 13/11/2017 - 13:25.
Application for non-material amendment to application PA17/06782 (Erection of a new dwelling and detached garage) regarding removal of trees to allow trees on the North-West and North-East of building plot to remain - Land NW Of 5 Grist Lane Angarrack Cornwall
Ref. No: PA17/10300 | Received date: Fri 27 Oct 2017 | Status: Pending Consideration | Case Type: Planning Application|
| Date Published | Document Type | Measure | Drawing Number | Description | View |
|---|---|---|---|---|---|---|
| 27 Oct 2017 | Application Form |
|
|
|||
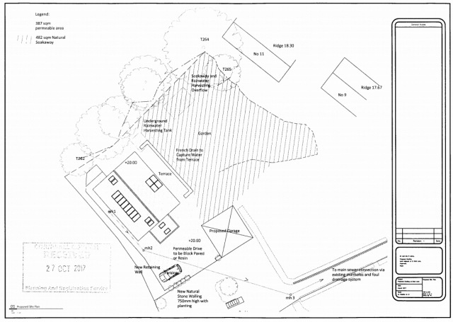
| 27 Oct 2017 | Plan - Proposed |
|
PROPOSED SITE PLAN |
|
- Printer-friendly version
- Login or register to post comments
- Permalink
Contributions
- Angarrack Defibrillator Team (25)
- Angarrack Inn (336)
- Angarrack Methodist Chapel (3)
- Carol (15)
- Gail (1)
- GordonG (12)
- Hayle Development Group on Facebook (5)
- Hayle Harbour Authority (4)
- Hayle Town Council (5)
- louise (1)
- Lynne (111)
- Mal (1)
- MattBuckley66 (9)
- Neil (22)
- Neils Garden Care (9)
- Russell (21)
- Secretary - Christmas Lights (141)
- Steve (3)
- webmaster (5121)
Book page
tags in
Similar
- 171027 | PA17/10301 | Submission of details to discharge condition 3 and 4 in relation to decision notice PA17/06782 - Land NW O
- 171009 | Officers Report| PA17/06782 | Erection of a new dwelling and detached garage. | Land NW Of 5 Grist Lane Angar
- 171009 | Approved with conditions | PA17/06782 | Erection of a new dwelling and detached garage. | Land NW Of 5 Grist Lane Angar
- 170719 | PA17/06782 | Erection of a new dwelling and detached garage. - Land NW Of 5 Grist Lane Angarrack Cornwall
- PA16/06298 | Proposed single dwelling in accordance with previous approvals PA13/00608 and W1/09-1364 - Land Adj To 5 Grist Lane
Similar across site
- 171027 | PA17/10301 | Submission of details to discharge condition 3 and 4 in relation to decision notice PA17/06782 - Land NW O
- 171027 | PA17/10300 | Application for non-material amendment to application PA17/06782 (Erection of a new dwelling and detached
- 171009 | Officers Report| PA17/06782 | Erection of a new dwelling and detached garage. | Land NW Of 5 Grist Lane Angar
- 171009 | Approved with conditions | PA17/06782 | Erection of a new dwelling and detached garage. | Land NW Of 5 Grist Lane Angar
- 170719 | PA17/06782 | Erection of a new dwelling and detached garage. - Land NW Of 5 Grist Lane Angarrack Cornwall






Recent comments
15 weeks 23 hours ago
20 weeks 1 day ago
20 weeks 1 day ago
35 weeks 23 hours ago
1 year 2 weeks ago
1 year 2 weeks ago
1 year 2 weeks ago
1 year 2 weeks ago
1 year 24 weeks ago
1 year 38 weeks ago